You need to be registered and approved to bid at this auction.
Watch the auction
Live
Auction address
1116 N. West Ave. Sioux Falls, SD 57104 USA
Minnehaha County, SD
57104
United States
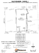
FUNKE - +/- 72.77 Acre Edison Twp., Minnehaha Co. SD Land Auction
LAND AUCTION
Auction dates
Dec 27, 2024 10:00 AM CT
|
Auction currency
|
USD |
|
Delivery
|
605-336-6315 |
|
Other payment methods
|
There are 2 lots within this auction
Primary Category
Category
Item Type
Country
State/Province
Town/City
Sorted by
Lot number
Please review and confirm your bid
Confirming your bid is a legally binding obligation to purchase and pay for the lot should your bid be successful.
Please review and confirm your bid
Current bid:
Opening bid:
Your max bid:
Max bid:
Buy it now price:
As your Max bid is at least equal to the Buy it now price, you can immediately purchase the lot.
New bid:
Quantity:
Bidding ends:
Confirming your bid is a legally binding obligation to purchase and pay for the lot should your bid be successful.